The hip joint
The hip joint is a ball and socket joint but is prone to issues in dogs and cats. Hip dysplasia occurs in dogs and cats and is the most common ailment but there are a variety of other conditions of the hip including traumatic dislocation, Legge-Perthes disease and growth plate disorders.
The hip has soft tissue support from a ligament which runs from the acetabulum (socket) to the femoral head (the ball). There is also a soft tissue joint capsule which wraps around the joint and provides some stability.
In diseases of the hip, these soft tissue structures are often damaged.

Hip dysplasia
Hip dysplasia (HD) is a common condition of dogs and also occurs occasionally in cats, particularly the larger pedigree cats. Hip dysplasia is abnormal development of the hip during the first few months of life. This starts with excessive laxity of the joint which leads to instability between the ball of the joint (the femoral head) and the socket (the acetabulum). That instability leads to secondary remodelling of the developing femoral head and acetabulum such that the femoral head becomes flattened and the acetabulum becomes shallow resulting in a poorly fitting joint. This poor fit eventually leads to secondary osteoarthritis. There are many dogs that have a degree of HD which is tolerated and does not cause clinical signs but some dogs are not so lucky and have pain associated with the dysplasia when they are young (typically 6-12 months of age). Probably more dogs end up with pain from secondary osteoarthritis even though they did not have obvious pain when they were young.
So, broadly speaking there are two categories of dogs that present with hip pain associated with HD:
- Young dogs with pain from dysplasia
- Middle-aged to older dogs with secondary osteoarthritis
Management of hip dysplasia and secondary osteoarthritis also falls in to two categories:
Medical and supportive management
- Medication for pain relief (see our osteoarthritis information sheet)
- Support through weight control, environmental adaptations, exercise control, physiotherapy (see our osteoarthritis information sheet)
Surgical management
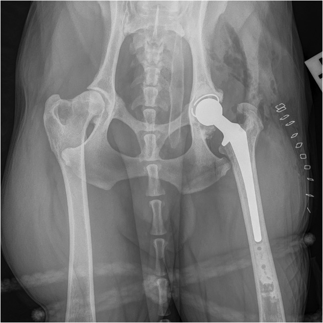
Total Hip Replacement
- This is the treatment of choice for the intractably painful hip that has not responded sufficiently to medical management. The most common age for a dog to have a hip replacement is 1-2 years of age and this is usually because the pain from dysplasia is such that it cannot be controlled with medical management. The hip replacement should last for the lifetime of the dog.
- Total hip replacement can be performed on almost any size of dog. It is generally a very successful procedure but complications can occur and so it is essential that clients are carefully counselled by an experienced surgeon so that they can understand the likely benefits but also the potential risks associated with the procedure.


At Movement Vets, all our orthopaedics surgeons are experienced in total hip replacement. We contribute to the British Veterinary Orthopaedic Association’s Canine Hip Registry. We contribute to the British Veterinary Orthopaedic Association’s Canine Hip Registry. The registry is a database of thousands of canine hip replacements and follows the long-term outcome of such operations so that vets can better understand the benefits and risks of the operation. The registry was founded by Movement Referrals Director, Professor John Innes.
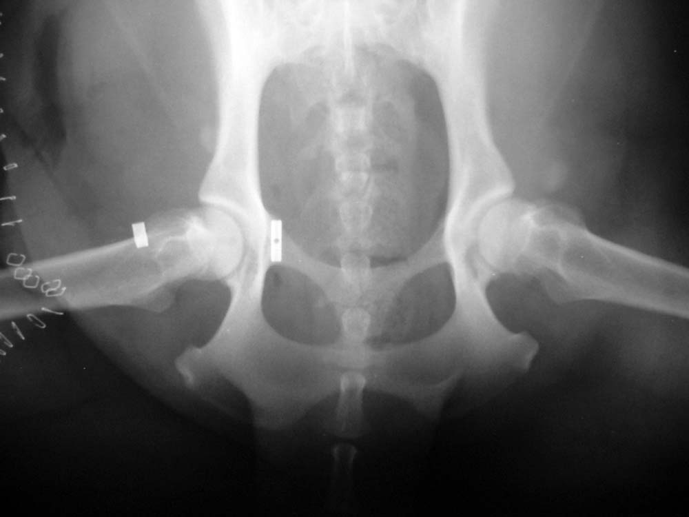
Excision arthroplasty
Sometimes, when there is severe disease of the hip and a joint replacement is not possible, the femoral head and neck are removed in a procedure called an excision arthroplasty. Dogs can function quite well without a hip joint due to the muscular support around the hip.
Legge-Perthes disease (ischaemic necrosis of the femoral head)
This condition typically affects smaller breeds of dog (e.g. West Highland White Terrier) and occurs during development. The head of the femur loses its blood supply and the bone collapses leading to a misshapen femoral head and secondary osteoarthritis. Cases with chronic pain can be treated surgically (THR or excision arthroplasty).

Dislocation of the hip joint
Trauma to the pelvic region can lead to dislocation (luxation) of the hip. Dislocation can occur more easily if the hip is dysplastic. Most traumatic hip luxations can be managed successfully although surgical reduction and stabilisation may be required. There are a variety of surgical techniques that can be employed and the choice of technique can depend on factors such as patient size and degree of dysplasia.

Publications from Movement Vets surgeons on hip problems
Allaith S., Tucker L.J., Innes J.F., Arthurs G., Vezzoni A., Morrison S., Onyett J., Stork CK., Witte P., Denny H., Pettitt R., Moores A.P., Maddox T., Comerford E.J. Outcomes and complications reported from a multiuser canine hip replacement registry over a 10-year period. Veterinary Surgery 2023 Feb; 52 (2):196-208. doi: 10.1111/vsu.13885. Epub 2022 Sep 5. PMID: 36062338; PMCID: PMC10087566.
Forster, K. E., A. Wills, A. M. Torrington, A. P. Moores, D. Thomson, G. Arthurs, G. Brown, H. R. Denny, H. W. Scott, I. MacQueen, J. Dunne, J. Onyett, J. D. Walker, J. Prior, M. R. Owen, N. Burton, R. Whitelock, S. Girling, S. Morrison, S. Gilbert, S. J. Langley-Hobbs, T. J. Gemmill, and J. F. Innes. 2012. ‘Complications and Owner Assessment of Canine Total Hip Replacement: A Multicenter Internet Based Survey’, Veterinary Surgery, 41: 545-50.
Henderson, E. R., A. Wills, A. M. Torrington, A. P. Moores, D. Thomson, G. Arthurs, G. Brown, H. R. Denny, H. W. Scott, I. MacQueen, J. Dunne, J. Onyett, J. D. Walker, J. Prior, M. R. Owen, N. Burton, R. Whitelock, S. Girling, S. Morrison, S. Gilbert, S. J. Langley-Hobbs, T. J. Gemmill, C. K. Stork, S. Bright, E. Comerford, R. Pettitt, N. Macdonald, and J. F. Innes. 2017. ‘Evaluation of variables influencing success and complication rates in canine total hip replacement: results from the British Veterinary Orthopaedic Association Canine Hip Registry (collation of data: 2010-2012)’, Veterinary Record, 181: 18-+.
Walton, M. B., E. C. Cowderoy, B. Wustefeld-Janssens, B. D. X. Lascelles, and J. F. Innes. 2014. ‘Mavacoxib and meloxicam for canine osteoarthritis: a randomised clinical comparator trial’, Veterinary Record, 175.